記事ではさーーーーー
アメリカ オレゴンの海岸置きに位置する
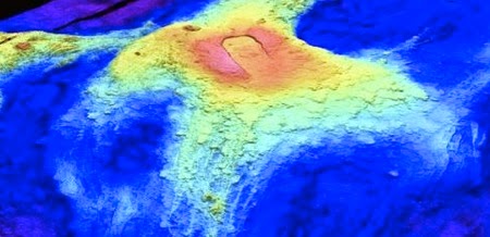
海底火山(アキシャル海山)が噴火してるだろうって
※Photo/海底火山・アキシャル海山のサーモグラフ
また、海から1マイル下ではマグマの噴火が発生してる
って云う!!!!!!!
※Photo/海底火山の位置図
言い出しっぺは
地質ノースカロライナー大学 太平洋海洋環境研究所
オレゴン州立大学 ビル・チャードウィックさん
April 24 2015 約300マイル(480キロ)西海岸沖
小さな地震の発生回数が増大した事を観測から
発見したみたい
※Photo/グーグルマップ
前から、、、
噴火の兆候を調べてたようよ
げっげーーーーー
カルフォルニアでも、、、
巨大地震の警戒が告げられてるのに
海底火山噴火!!
、、、大規模な火山でも発生したら
、、、終了ね
なるほど、、、
May 1 2015にハワイ島で5回の
地震発生があったのも、、、
大規模な地殻変動へのアラームってこと!?!?!?
太平洋沖だから、、、
アメリカ沿岸も日本も巨大津波で
、、、巨大災害は避けられない感じ
どてっ!!、、、イタタターーーーー
※追加情報/May 3 2015ーーーーー誤字も修正
ニュース映像を入手したわっ、、、
ニュース映像を入手したわっ、、、
沿岸部のPeopleさんは
特に、海水の激減には注意が必要だわ!!
エエーーーーーン!! .・゜゜・⊂((〃/⊥\.〃))⊃・゜゜・.
、、、お大事に、、、
※Photo/サイエンスサイトとGoogle Mapより引用































